Industrial Unit
Industrial Unit To Let Droitwich
PROPERTY ID: 143734
PROPERTY TYPE
Industrial Unit
STATUS
Under Offer
SIZE
30,500 sq.ft
Key Features
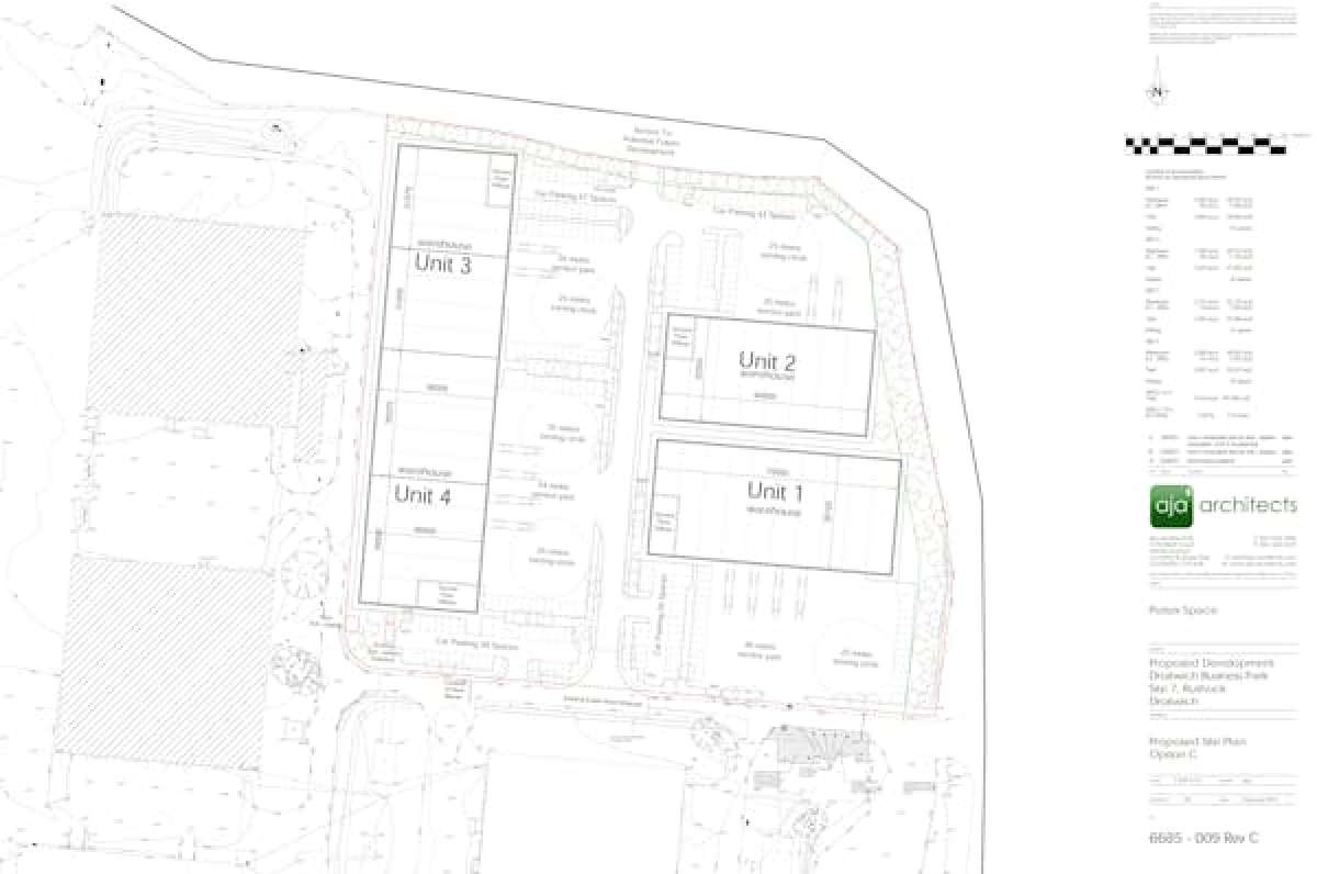
Unit 104 - 30,500 sq ft
Ample on site parking
Total plot size 1.82 acres
Eaves height of 10m
Property Details
Potter Space Droitwich Is An Established And Highly Popular Industrial /distribution Location Serving The Midlands. The Business Park Is Strategically Located In The Heart Of Worcestershire, Approximately 5 Miles From Junction 5 Of The M5 Motorway. The Site Is Within Close Proximity Of Kidderminster And Worcester, Providing A Large Labour Pool, With Birmingham Only A 45-minute Drive Away. The Site Is Easily Accessible By Rail, With Stations In Hartlebury And Droitwich, Linking To Birmingham And London.
Unit 104 - 30,500 Sq Ft (potential To Split)
About the Agent
Fisher German LLP; Worcester
See Agent's Other PropertiesIndustrial Unit
POA
7 Kidderminster Road, Droitwich, WR9 0NS
Industrial Unit -
Under Offer
30,500 sq ft
2,834 sqm
Show phone number










































.jpg)



































































