







Industrial Unit
Industrial Unit To Let Eastbourne
PROPERTY ID: 140122
PROPERTY TYPE
Industrial Unit
STATUS
Available
SIZE
4,892 sq.ft
Key Features
Modern industrial warehouse unit
Interconnecting unit
Good loading forecourt
8 allocated car parking spaces
2x 3-phase supplies
Gas supply
Property Details
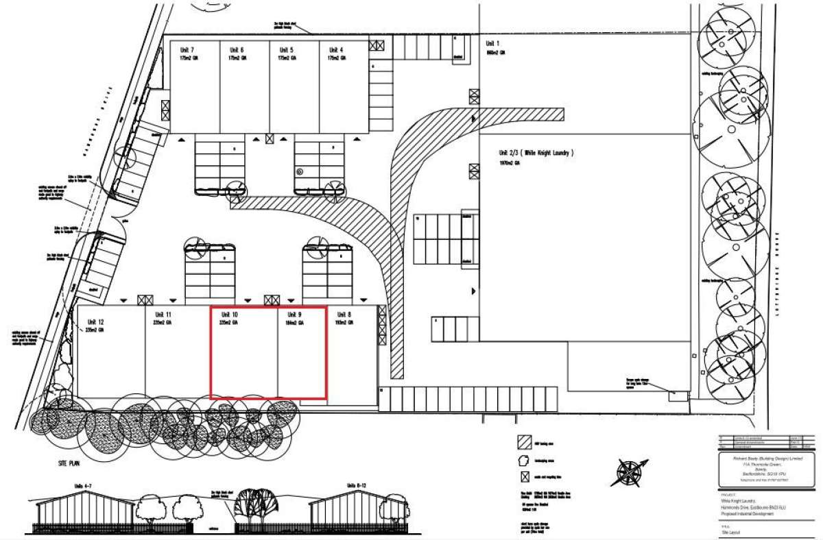
Modern Industrial Warehouse Unit With Interconnecting Access
About the Agent
Stiles Harold Williams Partnership LLP
See Agent's Other PropertiesIndustrial Unit
£56,258 / pa
£4,688 / month
Unit 9-10,Hammonds Drive, Eastbourne, BN23 6PW
Industrial Unit -
Available
4,892 sq ft
454 sqm
Show phone number